[ Thread ansehen ] [ Zurück zum Index ] [ Vorheriger Beitrag ] [ Nächster Beitrag ]

Pilze Pilze Forum Archiv 2008

Auffällige Deformationen

Geschrieben von: Thüringer-Holz
Datum: 19. Dezember 2008, 15:30 Uhr


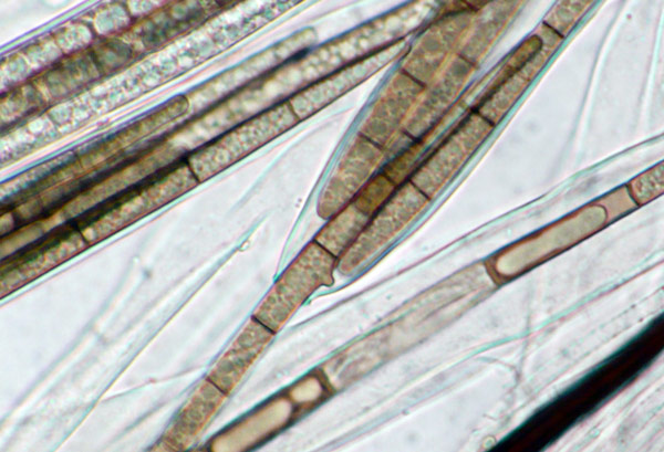
habe ich bei Kollektion 05 der gestrigen Zungenaufsammlung festgestellt.
Gleich an 3 FK der Kollektion waren mehrfach ungewöhnliche Ausbildungen zu erkennen. 15 Septen kamen nicht vor,
aber von 3-12 war alles dabei.
Sporen mit 7 Septen überwiegen....Trichoglossum spec.






Recht lustig, oder....

LG Felix

Beiträge in diesem Thread

Auffällige Deformationen -- Thüringer-Holz -- 19. Dezember 2008, 15:30 Uhr
Re: Auffällige Deformationen -- Karl -- 19. Dezember 2008, 16:01 Uhr
Geoglossum - Paraphysen-Chaos -- Thüringer-Holz -- 19. Dezember 2008, 17:10 Uhr
Mhhh nach Benkert -- Thüringer-Holz -- 19. Dezember 2008, 17:20 Uhr
Re: Mhhh nach Benkert -- Karl -- 19. Dezember 2008, 17:47 Uhr
Re: Mhhh nach Benkert -- AK_CCM -- 19. Dezember 2008, 18:27 Uhr
Re: Auffällige Deformationen -- Ingo Wagner -- 19. Dezember 2008, 16:19 Uhr
denk' ich auch *oT* -- Wolfgang P. -- 19. Dezember 2008, 23:18 Uhr
Re: Auffällige Deformationen -- Markus Wilhelm -- 19. Dezember 2008, 18:25 Uhr
Absolut richtig! -- Andreas -- 20. Dezember 2008, 00:05 Uhr
Re: Auffällige Deformationen -- Jochen Girwert -- 19. Dezember 2008, 19:11 Uhr

[ Thread ansehen ] [ Zurück zum Index ] [ Vorheriger Beitrag ] [ Nächster Beitrag ]

Pilze Pilze Forum Archiv 2008 wird administriert von Georg Müller mit WebBBS 5.12.