[ Thread ansehen ] [ Zurück zum Index ] [ Vorheriger Beitrag ] [ Nächster Beitrag ]

Pilze Pilze Forum Archiv 2009

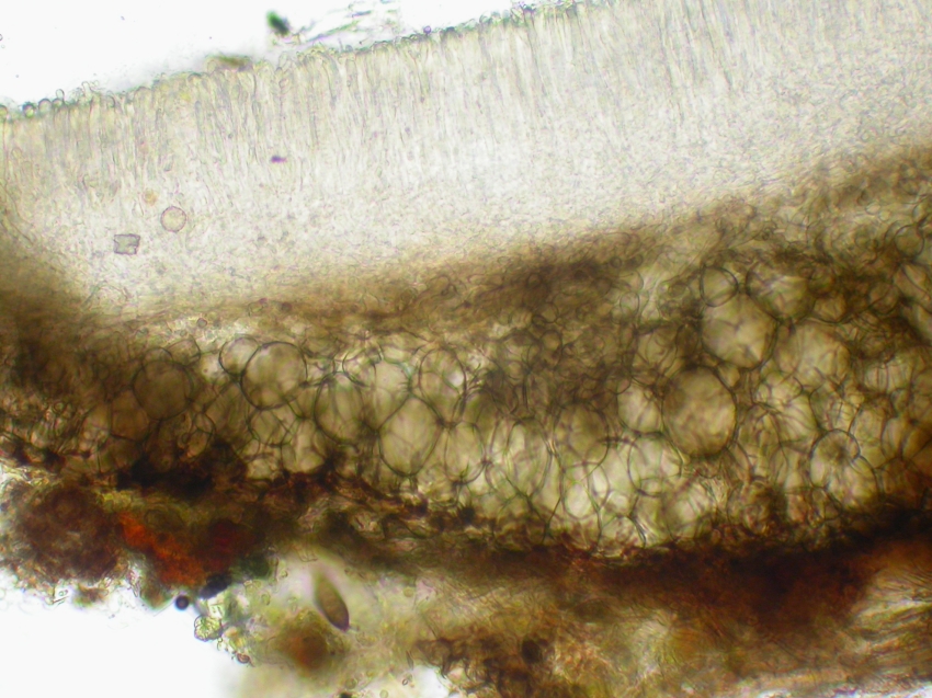
Re: Mollisia lividofusca? *PIC*

Geschrieben von: Ueli Graf
Datum: 10. März 2009, 20:30 Uhr

Antwort auf: Re: Mollisia lividofusca? (Ingo Wagner)

Hallo Ingo,
ich hab jetzt noch ein anderes Foto.
Stimmt es jetzt?

Gruss Ueli

: Hallo Ueli!

: Nach meinem makroskopischen Verständnis (soweit man das bei Mollisien haben
: kann), würde ich dir beipflichten. Allerdings würde ich mir ein noch
: eindeutigeres Bild des Subhymeniums wünschen.

: VG Ingo W

Beiträge in diesem Thread

Mollisia lividofusca? *PIC* -- Ueli Graf -- 1. März 2009, 17:18 Uhr
Re: Mollisia lividofusca? *PIC* -- Ueli Graf -- 1. März 2009, 17:21 Uhr
Re: Mollisia lividofusca? *PIC* -- Ueli Graf -- 1. März 2009, 17:22 Uhr
Re: Mollisia lividofusca? *PIC* -- Ueli Graf -- 1. März 2009, 17:23 Uhr
Re: Mollisia lividofusca? -- Ingo Wagner -- 1. März 2009, 20:30 Uhr
Re: Mollisia lividofusca? -- Ingo Wagner -- 1. März 2009, 20:47 Uhr
Re: Mollisia lividofusca? *PIC* -- Ueli Graf -- 10. März 2009, 20:30 Uhr
Re: Mollisia lividofusca? -- Ingo Wagner -- 10. März 2009, 23:06 Uhr

[ Thread ansehen ] [ Zurück zum Index ] [ Vorheriger Beitrag ] [ Nächster Beitrag ]

Pilze Pilze Forum Archiv 2009 wird administriert von Georg Müller mit WebBBS 5.12.