[ Thread ansehen ] [ Zurück zum Index ] [ Vorheriger Beitrag ] [ Nächster Beitrag ]

Pilze Pilze Forum Archiv 2011

Falsche Maulbeeren und Anderes

Geschrieben von: Harzpilzchen
Datum: 29. April 2011, 00:04 Uhr


Liebe Pilzfreunde

Heut war ich in einen meiner Morchelwälder unterwegs. Leider fand ich nichts Morchelartiges


dafür erblickte ich diese gut getarnte Zauneidecke.


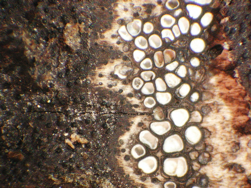
jede Menge Pyrenos gab es, hier an einem Weidenast gleich mindestens zwei


Klarer Fall, dachte ich, wird wohl Bertia maufbeerformia sein (hatte ich ja letztens schon mal)


die Sporen sahen aber diesmal ganz anders aus und waren viel kleiner. Da muß ich noch etwas suchen. Oder gibt es mehrere Bertia Arten?



mit dem benachbarten flächigen Pyreno hab ich mich auch noch nicht tiefer beschäftigt.


hier fand ich gar keine Sporen, wohl schon überaltert (an Esche)


vor lauter Pyrenos hatte ich schon Wahnvorstellungen, laufende Pyrenos oder einfach der nasige Pyrenokäfer?

bis bald Hartmut

Beiträge in diesem Thread

Falsche Maulbeeren und Anderes -- Harzpilzchen -- 29. April 2011, 00:04 Uhr
Re: Falsche Maulbeeren und Anderes -- DirkW -- 29. April 2011, 00:48 Uhr
Re: Falsche Maulbeeren und Anderes -- jesko -- 29. April 2011, 10:39 Uhr
Re: Falsche Maulbeeren und Anderes -- Gernot -- 29. April 2011, 19:31 Uhr
Re: Falsche Maulbeeren und Anderes -- jesko -- 29. April 2011, 20:44 Uhr
Re: Falsche Maulbeeren und Anderes -- Gernot -- 29. April 2011, 21:54 Uhr
Re: Falsche Maulbeeren und Anderes -- DirkW -- 30. April 2011, 11:00 Uhr
Pyrenokäfer *PIC* -- Harzpilzchen -- 29. April 2011, 23:32 Uhr

[ Thread ansehen ] [ Zurück zum Index ] [ Vorheriger Beitrag ] [ Nächster Beitrag ]

Pilze Pilze Forum Archiv 2011 wird administriert von Georg Müller mit WebBBS 5.12.