[ Thread ansehen ] [ Zurück zum Index ] [ Vorheriger Beitrag ] [ Nächster Beitrag ]

Pilze Pilze Forum Archiv 2012-13

Re: Kleines Schwarzes (Asco) *PIC*

Geschrieben von: klaas
Datum: 12. März 2012, 00:19 Uhr

Antwort auf: Re: Kleines Schwarzes (Asco) (Guy Marson)

Hallo Guy,

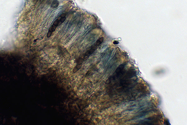
das Blauen der Asci selbst (keiner Gelschicht) auf Iod empfand ich schon als recht intensiv, jedoch wurde
anschließend nichts rot. Auch Deine anderen Informationen kann ich gut nachvollziehen, also ergebe ich
mich gerne Rhizodiscina lignyota.
Da habe ich wenigstens auch einen deutschen Namen, wenn ich die beiden Blätter ändere...;)

Vielen Dank und Grüße
Klaas

Beiträge in diesem Thread

Kleines Schwarzes (Asco) -- klaas -- 11. März 2012, 18:13 Uhr
Re: Kleines Schwarzes (Asco) -- Seraph -- 11. März 2012, 19:54 Uhr
Re: Kleines Schwarzes (Asco) -- klaas -- 11. März 2012, 23:02 Uhr
Re: Kleines Schwarzes (Asco) -- Guy Marson -- 11. März 2012, 23:45 Uhr
Re: Kleines Schwarzes (Asco) -- Guy Marson -- 11. März 2012, 23:51 Uhr
Re: Kleines Schwarzes (Asco) *PIC* -- klaas -- 12. März 2012, 00:19 Uhr
Re: Kleines Schwarzes (Asco) *PIC* -- Guy Marson -- 12. März 2012, 07:38 Uhr

[ Thread ansehen ] [ Zurück zum Index ] [ Vorheriger Beitrag ] [ Nächster Beitrag ]

Pilze Pilze Forum Archiv 2012-13 wird administriert von Georg Müller mit WebBBS 5.12.